$13,000
$15,000
13.3%For more information regarding the value of a property, please contact us for a free consultation.
SOLD DATE : 04/02/2024
Key Details
Sold Price $13,000
Property Type Vacant Land
Sub Type Lots/Land
Listing Status Sold
Purchase Type For Sale
MLS Listing ID EV24021435
Sold Date 04/02/24
Property Sub-Type Lots/Land
Property Description
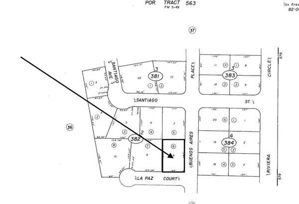
Welcome to an exceptional real estate opportunity in the heart of Thermal! This prime corner lot, measuring an impressive 15,244 square feet, is nestled at the cul-de-sac of a serene neighborhood, offering a rare chance to build your dream property. With a strategic location, this parcel is perfectly situated for those seeking a quiet and private setting. The cul-de-sac location ensures limited through traffic. One of the standout features of this land is its proximity to utilities. With essential services nearby, including water, electricity, and other utilities, this parcel presents an ideal canvas for seamless development. This convenience not only enhances the potential for construction but also adds to the overall value and feasibility of any future project. It is important to note that while utilities are in close proximity, potential buyers are encouraged to conduct thorough investigations to ensure all specific requirements and regulations are met. This due diligence will help facilitate a smooth development process and ensure that the property aligns with the buyer's vision. Don't miss the chance to seize this unique opportunity to own a prime piece of real estate in Thermal. Whether you envision a residential haven or a commercial venture, this corner lot provides a versatile canvas for realizing your ambitions. Act now and make this exceptional parcel yours!
Location
State CA
County Imperial
Direction Hwy 86 East, left on S Marina, R on Desert Kist, L on Salton, R on Santiago, R on Buenos Aires, R on La Paz. Located on the corn
Interior
Fireplace No
Exterior
View Y/N No
Others
Senior Community No
Read Less Info
Want to know what your home might be worth? Contact us for a FREE valuation!

Our team is ready to help you sell your home for the highest possible price ASAP

Bought with NON LISTED AGENT San Diego



